Aller au contenu principal
Mine de Salsigne
Modifier la taille du texte
Accessibilité du site
Mine de Salsigne
MTECT
Ministère de la Transition Ecologique et de la Cohésion des Territoires
MESR
Ministère de l'Enseignement supérieur et de la Recherche
MEAE
Ministère de l'Europe et des Affaires étrangères
BRGM
Service géologique national
SIM
Société de l'Industrie Minérale
SGF
Société Géologique de France
Autres sites web
  • Alliance des Minerais, Minéraux et Métaux (A3M)
  • Minéraux Industriels de France (MI-France)
  • Union Nationale des Industries de Carrières et Matériaux de Construction (UNICE…
  • L'Observatoire français des ressources minérales pour les filières industrielle…
logo état mineralInfo
Le portail français
des ressources minérales
non énergétiques

Rechercher dans MinéralInfo

Recherche avancée spécifique dans les bases de données du BRGM

Vous recherchez dans les bases de données des carrières et matériaux, gîtes et gisements et rapports de BRGM

Recherche avancée dans les bases de données : carrières et matériaux, gîtes et gisements et rapports de BRGM

Banques de données
Documents
ISBN, ISRN, report number
ISBN, ISRN, report number
Besoin d'aide ?
Mine de Salsigne
  • Les ressources minérales en France et leur gestion
    Les ressources minérales en France et leur gestion
    • Potentiel du sous-sol français et exploration
    • Exploitation minière en France
    • Les carrières en France
    • Les activités de première transformation
    • Les ressources minérales des fonds marins
  • Sécurité des approvisionnements pour l'économie
    Sécurité des approvisionnements pour l'économie
    • Le CRM Act, la loi sur les matières premières essentielles
    • Les besoins pour l'économie et la transition énergétique
    • Une forte dépendance aux importations
    • Substances critiques et stratégiques
    • Clefs d'analyse des marchés des métaux
  • Approvisionnement responsable en ressources minérales
    Approvisionnement responsable en ressources minérales
    • Extraction responsable en France
    • L'approvisionnement responsable en matières premières importées
    • Devoir de diligence relatif aux "minerais de conflit"
  • Economie circulaire et recyclage
    Economie circulaire et recyclage
    • Qu'est-ce que l'économie circulaire ?
    • Les ressources secondaires en France
  • Recherche innovation et formation
    Recherche innovation et formation
    • Organismes de formation
    • Projets de R&D sur les ressources minérales
    • Groupe miroir de coordination R&D innovation
  • Les acteurs
    Les acteurs
    • Administrations
    • Conseil général de l’économie
    • Comité pour les métaux stratégiques
    • Comité stratégique de filière
    • Agences publiques
    • Fédérations et comités professionnels
    • Associations savantes
  • Actualités
  • Événements
  • Annuaire des substances
  • CRM Act
  • Politique nationale - projet 2025
  • Ecomine
  • La mine en France
  • Les schémas des carrières
  • Contacts
Recherche avancée spécifique dans les bases de données du BRGM

Vous recherchez dans les bases de données des carrières et matériaux, gîtes et gisements et rapports de BRGM

Recherche avancée dans les bases de données : carrières et matériaux, gîtes et gisements et rapports de BRGM

Banques de données
Documents
ISBN, ISRN, report number
ISBN, ISRN, report number
Besoin d'aide ?
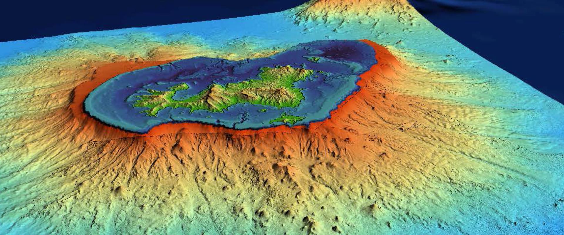
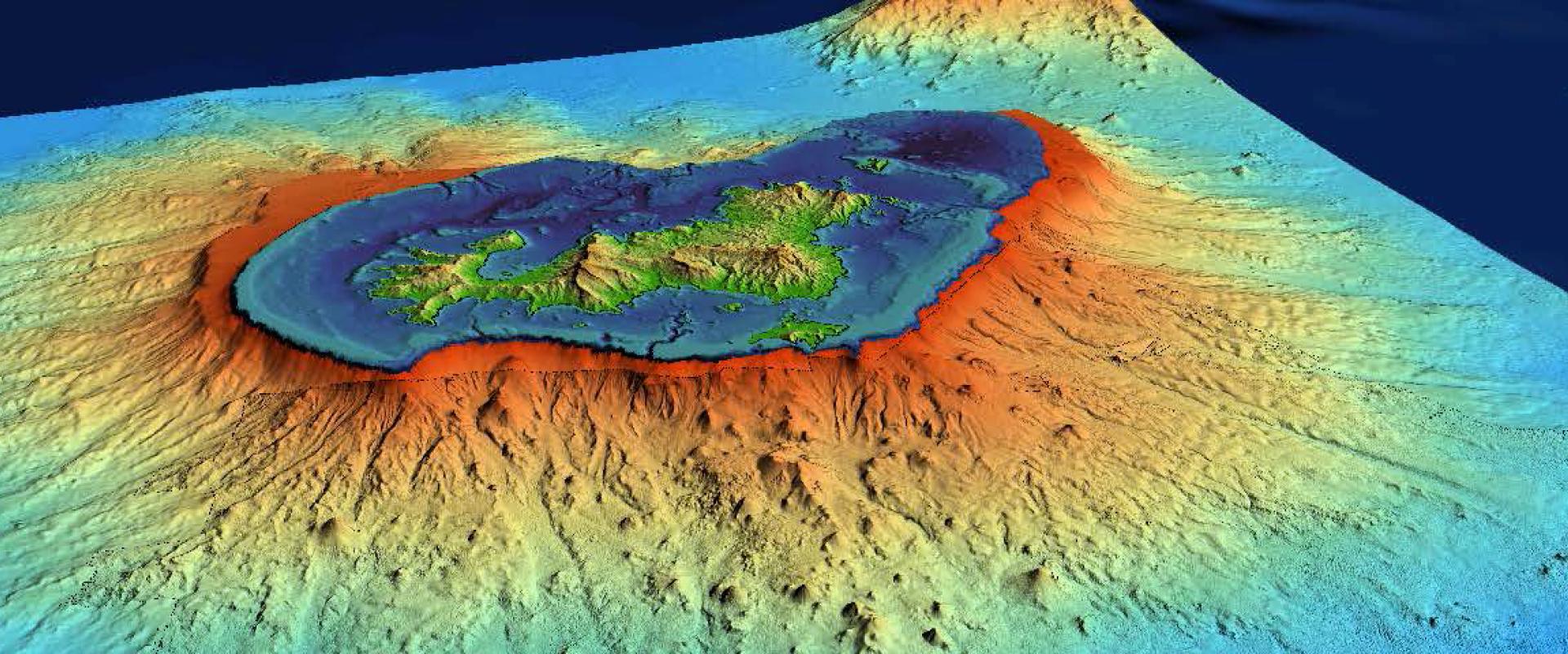
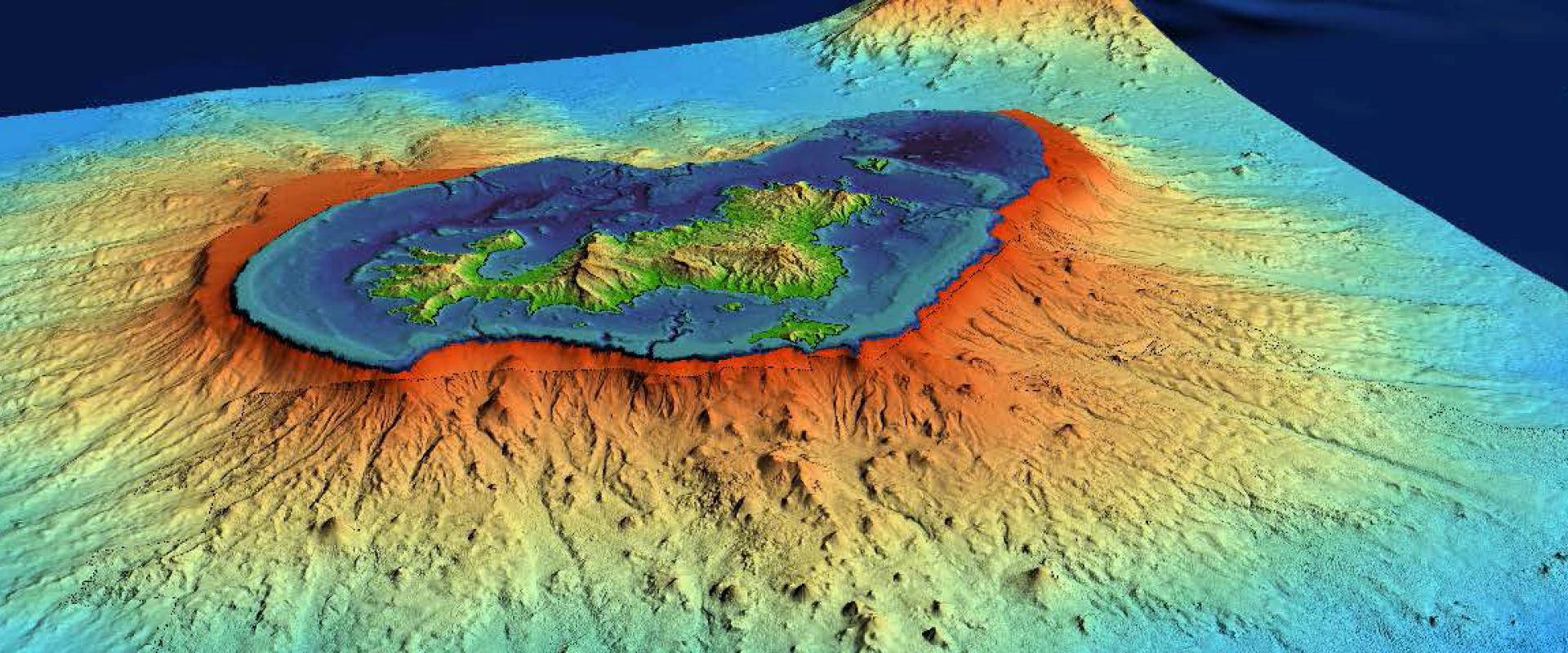
Reliefs sous-marins au large de Mayotte, relevés dans le cadre de la mission campagne MAYOBS2
Fil d'Ariane
  • Accueil
  • Substances
  • Ressources marines

#Ressources marines

Couverture du guide méthodologique
Actualité
Comment modéliser les effets de l'exploitation de granulats marins sur le trait de côte?
7 mars 2025
rapport BRGM UBS
Actualité
Inventaire du potentiel en sables et graviers au large de la Guyane
30 août 2024
Guide technique granulats marins 2023
Actualité
Elaboration des études d'impact "granulats marins" - guide technique 2023
19 juin 2023
Octroi d’une concession de sables et graviers siliceux, dite « concession granulats marins havrais » (Seine-Maritime) aux sociétés Les Graves de l’Estuaire et Matériaux Baie de Seine
Actualité
Octroi d’une concession de sables et graviers siliceux, dite « concession granulats marins havrais » (Seine-Maritime) aux sociétés Les Graves de l’Estuaire et Matériaux Baie de Seine
20 août 2019
Logos CGEDD et CGE
Actualité
Publication du rapport sur l’impact environnemental et économique sur le littoral et l’écosystème marin des activités d’exploration ou d’exploitation des ressources minérales marines
3 juin 2019
Copyright : Kathrin Heller - Bundesministerium für Wirtschaft und Energie
Actualité
Exploitation des ressources minérales marines profondes : La coopération Franco-Allemande en action
29 oct. 2015
Localisation du permis d'exploitation du Petit Havre en Guadeloupe
Actualité
Un permis d'exploitation de granulats marins accordé en Guadeloupe
18 août 2014
Ressources minérales marines profondes
Actualité
19 juin 2014 : Colloque sur les impacts environnementaux de l'exploitation des ressources minérales marines profondes
5 juin 2014
  • Visualiseur cartographique
  • Ecomine
Carrière souterraine © BRGM - Silvain Yart
Contacts
  • Accessibilité
  • Mentions légales - Crédits
  • Protection des données personnelles
  • Gestion des cookies
brgm